
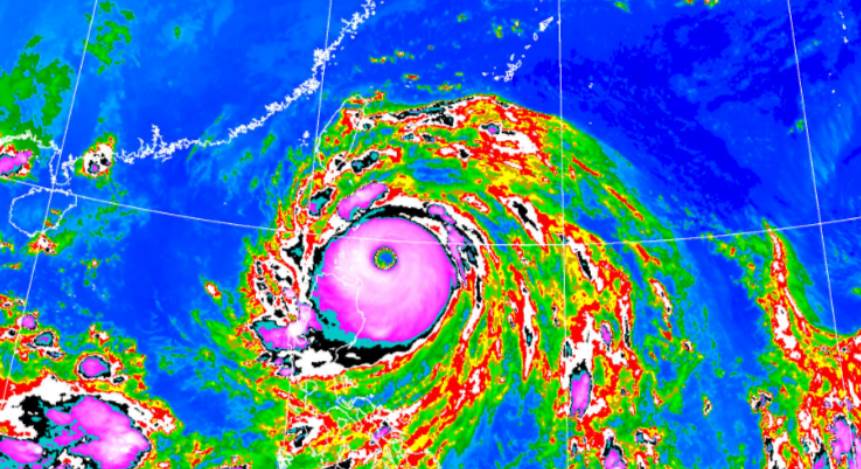
強颱樺加沙逼近。(圖/中央氣象署)
強颱樺加沙逼近,據氣象署最新風雨預報資訊,今(22)日中午12時後,有10縣市風力達停班課標準,但實際放假仍依地方縣政府公布為主。
今(22)日屏東縣枋山鄉、車城鄉、恆春鎮、獅子鄉、牡丹鄉、滿州鄉等6鄉鎮停班停課;花蓮縣:馬太鞍溪堰塞湖保全戶停班停課;保全范圍學校停班停課(光復國中、光復國小、太巴塱國小);蘭嶼、綠島停班停課。其餘地區正常上班上課。

據氣象署最新風雨預報,風力預報達停班課標準地區包括:桃園市(濱海鄉鎮)、新竹市(濱海鄉鎮)、新竹縣(濱海鄉鎮)、苗栗縣(濱海鄉鎮)、台中市(濱海鄉鎮)、屏東縣恆春半島、台東(濱海鄉鎮)、蘭嶼綠島、連江縣及金門縣、澎湖縣。
雨量預報達停班課標準地區則有台東縣山區。
根據《天然災害停止上班及上課作業辦法》規定,當氣象預報未來24小時累積雨量預測達山區200毫米,平地350毫米(部分縣市不分平地、山區均為350毫米),且已致災或有致災之虞時,可依據氣象預報或實際觀測發布停止上班及上課。至于是否停班停課,仍視各縣市政府而定。