鳳凰颱風來勢洶洶,中央氣象署預估最快明(10)日發布海上颱風警報,下週二(11日)發布陸上颱風警報。台灣整合防災工程顧問公司總監賈新興指出,颱風路徑顯示下週三晚間至週四清晨恐自苗栗至彰化沿岸登陸,預估將有13縣市達到停班停課標準。
賈新興分析,鳳凰颱風將在下週二北轉朝台灣前進,預計週三晚間至週四清晨穿越台灣本島,週四白天後逐漸遠離。他指出,下週二至週三宜蘭、花蓮、臺東雨量可能達到停班停課門檻,而臺中、彰化、南投、雲林、嘉義、臺南、高雄、屏東、臺東與澎湖等地,下週三也可能因暴風圈影響宣佈停班停課。不過,實際決定仍須由各縣市政府依氣象預報與實際狀況評估後發布。

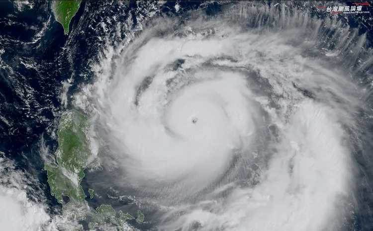
氣象署預報員張承傳表示,鳳凰颱風今晚將登陸菲律賓呂宋島,明天進入南海後逐漸北轉接近台灣,預計明日下午發布海警、週二中午前後發布陸警。颱風受垂直風切與地形影響,強度可能在12日下午後明顯減弱,週四起逐漸遠離台灣,並轉為東北季風影響型態。

根據氣象署「120小時暴風圈侵襲機率」預報,台灣本島受颱風影響機率超過70%,其中臺南與澎湖地區更高達91%,高雄亦達89%。颱風北轉期間可能與東北季風形成共伴效應,北台灣及東半部週一、週二恐有豪雨發生,週三起中南部與花東地區轉為主要降雨區。
氣象署提醒,鳳凰颱風北轉接近台灣時,路徑與強度仍有不確定性,具體影響區域仍需視后續變化而定,呼籲民眾密切關注最新颱風資訊,並提前做好防颱準備。