鳳凰颱風持續逼近,今(8)日清晨已升級為中度颱風,中央氣象署預估下週一(10日)發布海上警報,週二(11日)發布陸上警報,根據氣象署最新颱風暴風侵襲機率預測,已經有14縣市突破5成。

根據氣象署下午2時公佈的「120小時颱風暴風侵襲機率」,最高為澎湖縣68%,突破6成的還有金門縣61%、臺南市62%;超過5成的則有新竹縣50%、新竹市51%、苗栗縣52%、臺中市55%、南投縣55%、彰化縣56%、雲林縣56%、嘉義市56%、嘉義縣59%、高雄市59%、屏東縣56%、恆春半島50%,大臺北地區也有超過4成。

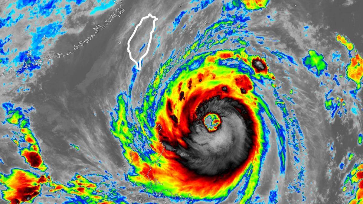
根據氣象署資料,鳳凰颱風下午2時中心位置在北緯13.
0度,東經 130.5度,以每小時35公里速度,向西進行。中心氣壓945百帕,近中心最大風速每秒43公尺,瞬間最大陣風每秒53公尺,七級風平均暴風半徑250公里。

據《天然災害停止上班及上課作業辦法》規定,颱風假標準為颱風暴風半徑于4小時內可能經過之地區,其「平均風力可達7級以上」或「陣風可達10級以上」,或未來24小時累積雨量預測達「山區200毫米、平地350毫米」,不過最終是否停班停課,由各縣市自行決定。