
中度颱風鳳凰來勢洶洶,持續快速移動,最快今(9)日下午升格為強烈颱風,至于是否放颱風假,仍待地方政府決定。氣象粉專「台灣颱風論壇|天氣特急」分析,鳳凰颱風最新路徑及可能登陸的地點,同時分享全台風雨時程。
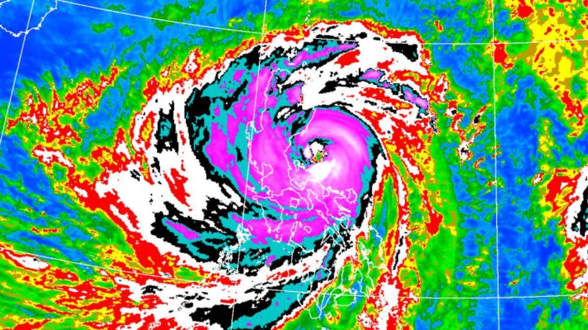
「台灣颱風論壇|天氣特急」今日以「鳳凰最新動態:快速移動,將成強颱」為題發文指出,鳳凰颱風過去6小時持續快速移動,同時也增強到中度颱風上限,即將在今日下午成為今(2025)年第5個強烈颱風。粉專指出,鳳凰颱風在副熱帶高壓穩定導引下,今天夜晚將以巔峰之姿登陸菲律賓呂宋島,明天(10日)進入南海,而後沿著副熱帶高壓斷裂產生的弱點北上。
談及鳳凰颱風最新路徑,「台灣颱風論壇|天氣特急」說,如果路徑上沒有特殊變化,週三(12日)上午暴風圈接觸南部陸地,夜晚籠罩中、南部地區,週三深夜至週四(13日)凌晨之間,登陸彰化至台南之間,隨後撞上中央山脈,穿越台灣上空快速減弱。

「台灣颱風論壇|天氣特急」指出,整體來看,鳳凰直接影響甚至登陸台灣的機率相當高,不過,確切登陸位置仍存在變數,關鍵在于「颱風北轉的角度」。第一是若北轉角度較小,路徑可能穿越台灣海峽。第二若北轉角度較大,從苗栗到屏東都可能落入颱風中心的影響范圍。

?至于各地風雨影響,「台灣颱風論壇|天氣特急」坦言,目前仍難有精確研判,雖然趨勢顯示,颱風靠近台灣時會由中度逐步減弱為輕度颱風,但實際影響仍取決于其在週一脫離菲律賓後的重新整合速度,以及接近台灣期間的減弱幅度,這些變化將直接左右各地風雨強度差異,週一至週三鳳凰的每一步都是關鍵。
??由于鳳凰體型龐大,「台灣颱風論壇|天氣特急」指出,未來基宜花東、新北東側、雙北山區嚴防連續3天劇烈降雨,大台北週二共伴有大雨,中部、南部、澎湖、金門必有強勁風勢,提醒民眾趕緊做好準備,別因為可能只剩下輕度颱風而有僥倖心態。